HOME
会社案内
お問い合せについて
MENU
HOME
会社案内
お問い合せについて
閉じる
FOR SALE
WIC2カ所有、トライアル益城台店まで約290m
新築住宅
熊本県上益城郡益城町広崎
価格
3,780
万円
最寄り交通機関
益城インター口バス停歩7分
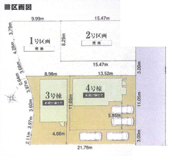
所在地
熊本県上益城郡益城町広崎
土地面積
149.52m
2
(45.22坪)
建物面積
96.05m
2
(29.05坪)
間取り
4LDK
構造/階数
木造2階建アスファルトシングル葺き
築年月
令和7年10月完成予定
学校区
広安西小学校(約1.7㌔)・益城中学校(約2.2㌔)
接面道路
東側道路 6m公道 接面11.05m
引き渡し
相談
取引態様
仲介
備考・コメント
☆駐車場 並列2台